← Back to issue index

JARS v64n3 - The Glenn Dale Azaleas: A History as Told by The Azalean, Part VI


The Glenn Dale Azaleas: A History as Told by The Azalean, Part VI
William C. Miller III
Bethesda, Maryland

Introduction
This is the sixth (and final) in a series of Glenn Dale articles originally published in THE AZALEAN , the journal of the Azalea Society of America (Vol. 17, No. 4, December 1995). The original article contained three images: B32140, 'Grenadier', and 'Nerissa' and Fig. 1 (now Fig. 5 in this re-publication), which was a plate showing the organization of the "Azalea Woods" at the Glenn Dale Station. Regrettably, the three flower images were provided by the late co-author and they are no longer available. With the ARS Editor's permission, several replacement images have been selected.

The article begins by reviewing the pertinent facts about the Plant Introduction Station at Glenn Dale and its place in the overall US Department of Agriculture framework which included the hybridization, growth, selection, propagation, and distribution of hybrid and species azaleas. It briefly mentions the physical features of the Station including the office and maintenance buildings, the greenhouses, the open fields, and the gently rolling terrain on which typical acid-soil loving plants of the region naturally grew. The authors' operating premise was that much of the breeding stock and many of the selected and unselected hybrids from the Glenn Dale azalea effort could still be found in the “Azalea Woods” or scattered in beds about the Station.

When we came on the scene, we discovered that no work was being done on azaleas and that the historic plants had pretty much been left to fend for themselves. After many hours of pouring over working documents (inventory lists and sketchy planting diagrams) found in long abandoned file cabinets at the Station, we discovered that it was possible to identify specific plants with certainty. Such was found to be the case when, with the help of Dr. John Creech, we identified the original 'Vitattum' and 'Macranthum' hybrids that Morrison used as parents. The ability to identify plants is important because some of named Glenn Dale hybrids (e.g., 'Alexandria' in Plot 9) were never officially distributed, and our research proved that the azaleas at Glenn Dale were no longer just a bunch of unidentified plants. The pieces of the puzzle were coming together, and the thrill of discovery was palpable and motivating. Additional elements of the story include the arrival of the gypsy moth, the decimation of the deciduous (mostly oak) canopy over the "Azalea Woods," the proliferation of what I refer to as "industrial grade weeds," and an act of arson which destroyed more than 70 years of historical and irreplaceable records and documentation.

Now permanently closed, it is anyone's guess what will happen to the Glenn Dale Station with all its valuable germplasm. The economy and the federal budget process being what they are, it is my hope that Glenn Dale does not have a future appointment with a developer's bulldozer.

Azaleas at the Glenn Dale Plant Introduction Station
Richard T. West
Columbia, Maryland

William C. Miller III
Bethesda, Maryland

Reprinted from The Azalean, December 1995

The U.S. Department of Agriculture's old Plant Introduction Station (also called Plant Introduction Garden) is located at Glenn Dale, Maryland, about 16 miles northeast of Washington, D.C. This 70-acre facility was once a major focus in the U.S.D.A. program to locate and acquire new plant material from around the world. Today, the facility houses a part of the National Germplasm Resource Laboratory (NGRL) Quarantine Office, which has the primary responsibility of testing imported plants for the presence of plant pests, including viruses and virus-like organisms (Waterworth 1993). It also houses elements of the U.S. National Arboretum.

During the 1930's and 1940's, Benjamin Y. Morrison directed the massive hybridizing program at the Station that resulted in the Glenn Dale azaleas, the 454 hybrids described in U.S.D.A.'s Agriculture Monograph 20 (Morrison 1953). He gathered together at Glenn Dale hundreds of different kinds of azaleas for the program and utilized both greenhouses and an outdoor planting in the azalea test area or azalea woods for hybridizing, growing, selection, and propagation for distribution. Many of the plantings in the azalea woods have remained untouched over the past 50 years or so.

Over the past three years, as a part of our efforts to re-establish the Glenn Dale azaleas, we have investigated the azalea plantings at Glenn Dale and their history. Preliminary surveys indicate that many, perhaps most, of the azaleas acquired for hybridizing—what can be called the Glenn Dale azalea parents—are still in place and can be identified. Some original Glenn Dale azaleas have been located, and a yet unknown additional number of selected but unnamed hybrids are believed also to be present. We recently reported on the status of our Glenn Dale research and preservation activities to the staff at the U.S. National Arboretum, and this article repeats much of what was in the report.

Background
The Glenn Dale Station consists of various office and maintenance buildings, greenhouses, fields and open lands, and the azalea woods area that comprises some five acres. Morrison (1953) described the woods in Monograph 20: "The terrain on which the plants were set is gently rolling. The soil is light, well-drained, and quite dry in the higher parts, to uniformly moist in the lower parts. Typical acid-soil plants of the region grew naturally on the site, which was a rather open wood. Some trees were removed before the planting, but enough were 1eft to provide a thin, high, deciduous shade. Before planting was undertaken, beds were prepared with a liberal application of commercial peat well mixed into the soil, so that an ideal site was given."

Hundreds of azaleas were acquired for the Glenn Dale program; some were purchased from large nurseries, such as the Fruitland Nursery of Augusta, Georgia, and some came from U.S.D.A. staff, such as H. E. Allanson and Morrison himself. Most importantly, some azaleas came directly from agricultural explorers. For example, the Rhododendron simsii came from seed obtained by F. A. McClure, Bureau of Plant Industries, U.S.D.A., in Anhwei Province, China, in 1926 and sent to Glenn Dale. Other azaleas are identified in the records with the names of explorers such as R. K. Beattie who collected azalea cuttings in the Orient in 1928 for the Bureau.

Beginning in 1982, the Azalea Society of America (ASA) initiated a national project to restore and preserve the azalea woods, and to establish new collections of all recognized hybrid azalea groups (Dietz and Miller 1983). The intent was to clean up and maintain the old azalea plantings, and to add new azalea hybrid groups developed after the Glenn Dale program in order to create a protected, secure germplasm preservation garden for named and unnamed azalea cultivars. During the clean-up, it was hoped that the old azaleas could be correctly identified when in bloom. A permit for access to the facility and for the new planting was given to the ASA by the U.S.D.A. Leadership of the Glenn Dale Preservation Project was provided by Roger Brown, Frank White, August Dietz IV, and Bill Miller. Dr. Bruce Parliman, acting U.S.D.A. location leader at the Glenn Dale site, gave generous cooperation and encouragement. Although work in the first year involved many ASA members, the magnitude of the cleanup and maintenance task was such that it became obvious that the original intent could not be achieved. Historical research and some azalea plant rescue efforts were all that could be undertaken. Unfortunately, even accurate identification of the existing plants proved to be almost impossible. Despite the great reduction of planned activities, some progress has been made over the years, and Miller has made regular reports about Glenn Dale Preservation events in THE AZALEAN .

Concurrent with the azalea woods activity, Miller began a thorough search for records and other materials of the Glenn Dale hybridizing program at Glenn Dale at the Department of Agriculture and at the National Agricultural Library. Some records, such as the Bell number file, were still in use at Glenn Dale. Miller found and saved many items at Glenn Dale, made copies of everything found, and deposited the originals in boxes in the offices at the Station. Although not large in number, these records have proven invaluable in the work reported here.

Activities through the remainder of the 1980's and early 1990's were mostly basic maintenance of the paths into the woods area and some examination of individual azaleas. An exception was the research of ASA member Ed Rothe, who became interested in a planting of Ghent azaleas in the woods, and undertook a restoration and identification of the collection (Rothe 1989). Miller's Glenn Dale record research resulted in a series of articles about the Glenn Dale azaleas (Miller 1984 a,b; Evans and Miller 1985; Miller 1985; Rothe and Miller 1988; Miller 1988). His sharing copies of the Glenn Dale records with West resulted in more articles about the Glenn Dales (West 1989, West and Miller 1991, Miller and West 1993, West 1993), and led to the collaborative Glenn Dale azalea research activity that has resulted in this report. In the spring of 1993, Miller brought West to Glenn Dale to see an azalea planting in the woods which he thought might be the Glenn Dale hybrid B.32140, the source of 'Cinderella' and 'Satrap' (it was originally noticed by Roger Brown for another reason.) Unexpectedly, a metal identification tag found at a nearby azalea had on it the Plant Introduction number for 'Alexandria', a lost Glenn Dale hybrid which supposedly was never distributed. Using inventories of azaleas in propagation from the early 1940's and a planting list for Plot 9 (which was the woods area in question), we found that we could verify both the location and the identity of B.32140, and what is perhaps the only extant plant of 'Alexandria'. We realized the azaleas were still where they remained untouched over the years, even though other azaleas in the plot had been removed. This startling discovery caused us to reconsider our beliefs about the azaleas at Glenn Dale, to re-examine the historic records from a new perspective, and to initiate the surveys of the wood and related research that are summarized in the following paragraphs.

Fig. 1: B32140
Fig. 1: B32140, originally withdrawn due to instability, is the plant from which 'Cinderella'
(white stripes on a red flower) and 'Satrap' (red stripes on a white flower) were derived.
This image is actually of the 'Cinderella' at Brookside Gardens in Wheaton, Maryland.
In addition to the two named cultivars, there are three other common flower
color manifestations: a white self, an irregular white margin, and a red self.

Description of Activities
Before 1993, we generally believed that the azaleas growing in the woods at Glenn Dale could not be identified. Almost no identification tags had been found. There were no row markers or anything else to delineate the planting or bed arrangements. There were no planting maps and we had no records that indicated the current contents of the woods. The woods appeared to be just a mass of azaleas - a mixture of parent plants and Glenn Dale hybrids - that were the unidentifiable relic of the Glenn Dale azalea program.

The experience with B.32140 and 'Alexandria' in Plot 9 implied we didn't need current documentation to determine the contents of the woods, because we could directly relate historical records to the actual azalea plants in the ground. We hypothesized that the old records would enable us to reconstruct the original plantings from which we might be able to create current maps for the whole woods. Once existing azaleas were identified, histories and descriptions could be obtained from the information in the records.

The late Dick West 
standing beside 'Alexandria' in the Azalea Woods at the Glenn Dale Plant 
Introduction Station
Fig. 2: The late Dick West standing beside the only known plants of the undistributed
'Alexandria' in the Azalea Woods at the Glenn Dale Plant Introduction Station. Cuttings
were taken and subsequently distributed to the cooperators of the Ten Oaks Glenn Dale
Project. The list of cooperators can be found in Appendix C of The Glenn Dale Azaleas
Revised, the 1996 revision of Morrison’s 1953 account of the development of the
Glenn Dale hybrids.
Fig. 3: The never officially 
distributed Glenn Dale cultivar 'Alexandria'.
Fig. 3: The never officially distributed Glenn Dale cultivar 'Alexandria'.

Azalea Woods Survey
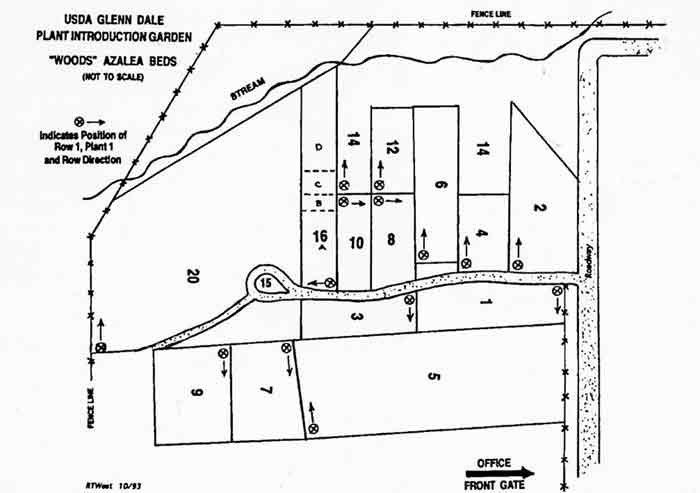
Utilizing a crude, 1930's hand-drawn diagram of the planting arrangement in the azalea woods discovered by Miller in an old file box and a later professionally drawn map of the Glenn Dale Station, a tentative map has been constructed (Fig. 5). It has plots of various shapes and sizes, and, from the diagram, the important placement of Row 1, Plant 1 is given for each plot as well as the direction of the planting in the row. Inventories of azaleas planted in the plots in 1937 and 1939, plus various other inventory and planting lists of the 1930's and 1940's, have been used to develop a tentative contents list. Some plots held only Glenn Dale parent plants ("in permanent location," as one inventory stated), some only Glenn Dale hybrids, some a mixture of parents and hybrids, and a few contain azaleas that were collected, but not used in the Glenn Dale program.

Fig. 4: Sample flowers 
from the original 'Vittatum'
Fig. 4: Sample flowers from the original 'Vittatum' that was obtained in 1928
from the Fruitland Nurseries and used in the Glenn Dale breeding program.

Surveys were conducted in 1994 and 1995 to test whether the map and contents list were valid and usable. Based on a random sampling of azaleas in the list, it was found that Plots 1 and 3, both locations of Glenn Dale parent plants, still contained most of the listed plants, although some azalea loss was apparent. Visual inspection of other plots suggested the likelihood that they, too, retained much of the original planting, while Plot 20, and perhaps Plot 16, which contained the majority of Glenn Dale hybrids, were found to be mostly empty of original azaleas and/or replanted with post-Glenn Dale azalea projects. From these surveys, our working hypothesis is that the great majority of Glenn Dale parent azaleas can be located, as can be some number of Glenn Dale hybrids.

Glenn Dale Records
Despite the historical research that has been undertaken and reported already, many key questions about the Glenn Dale program remain unanswered or the answers that have been given are suspect. For one example, we want to confirm the often-cited conclusion of Roy Magruder that ten of the 454 named Glenn Dales were never distributed. Our own partial study has suggested different azaleas may not have been distributed, and we're not sure who received the plants distributed.

More old records were found recently at Glenn Dale, including Plant Introduction Garden (P. I. G.) cards for acquisitions, plant inventory books, filled order receipts, general rhododendron records, and photographic negatives. With the assistance of NGRL Research Leader, Dr. Allan Stoner, and Dr. Parliman, the records had been set aside temporarily in a building on the property. Before the records could be examined thoroughly, catalogued and housed in a permanent location, an arsonist destroyed the building and all of the contents in May of 1995. We fear that what had been set aside in the building is not available elsewhere. This tragic event shows how frail historical records can be and the importance of acting in a timely fashion to preserve important materials of the past.

Original Glenn Dale Azaleas
We had always hoped to find original Glenn Dale azaleas at the Station, but it did not really happen until 1993 in Plot 9. Miller had found earlier handwritten maps showing the general location of some 30 named Glenn Dales transplanted to permanent positions, July 12, 1951, in the Plot 20 area near the path circle. We believed there was some intent to have a permanent display of Glenn Dales in the woods, but there was nothing that 1ooked like a display planting, nor was there any information about its existence. We weren't even sure the proposed transplanting had ever begun.

Fig.5: Map of the Azalea 
Woods at the Glenn Dale Plant Introduction Station.
Fig.5: Map of the Azalea Woods at the Glenn Dale Plant Introduction Station.

From our experience with Plot 9, we now realize that other hand drawings show the approximate location of a few named Glenn Dales where they were originally set out in Plot 20 and presumably still remain, even though the plot was partially cleared after the Glenn Dale program for later azalea work. Additionally, another drawing identifies some Glenn Dales planted near the office complex. Preliminary searching in 1994 had located four Glenn Dales at the circle in addition to the 'Alexandria' found in Plot 9: 'Demure', 'Fanfare', 'Grenadier', and 'Nerissa'. In the spring of 1995, 'Allure', 'Concordia', and 'Red Hussar' were found also in the circle area. In addition to Plot 20, it may be that named Glenn Dales still remain in the other plots where they were originally planted.

Condition of the Azalea Woods
In the mid-1980's, the gypsy moth infested the old oaks in the azalea woods and killed most of them. The resulting loss of canopy has allowed significant weed growth in many of the plots. Survey work and searching for Glenn Dale azaleas has been greatly hampered by the difficulty of movement in the woods area because of vines and thickets. What Glenn Dales and other azaleas still exist are threatened by the weed overgrowth. Even more than before, the problems of cleanup and maintenance loom large in any consideration of future activities. Our experience last year was that it took half of a planned workday just to provide access to the plots and work sites.

Discussion
The azalea woods area at the Glenn Dale Station represents a unique and highly valuable azalea collection - it holds the results of plant germplasm collecting over seventy-five years as well as the hybridizing work conducted at Glenn Dale. Records and historical information can be used to determine plot boundaries and contents, and to locate individual plants. Propagations from the woods can help in the development of complete collections of the Glenn Dale azaleas at the U.S. National Arboretum and at other sites, as well as providing clones of historic and important azaleas assembled for the Glenn Dale hybridizing project. Our Ten Oaks Glenn Dale Project, for example, seeks to establish complete collections of the Glenn Dales at eleven other sites in the U.S. Many of the azaleas said to be at the Station have not yet been found at the Ten Oaks azalea arboretum (West and Miller 1993 a, b). We understand that Morrison did propagate many of the Glenn Dale parent azaleas for the National Arboretum collections, but we don't know what is still there.

The original objective of the Azalea Society's Preservation Project to maintain the woods collection and create a protected garden for new azaleas was wonderful, but, as before, there is not enough volunteer manpower today to make it work. Indeed, just the small amount of historical research, survey and site work we did last year for this report was almost too much for two individuals. Outside of very limited Glenn Dale azalea searching and propagation, and perhaps some historical record research, we cannot see much more being done in the present circumstances, despite the importance of the existing azalea population.

We have reported our research at Glenn Dale to staff at the National Arboretum who are now assuming greater responsibility for the Station (Miller and West 1995). At the conclusion of the report, we itemized a short list of activities that required decisions, including provision of azalea cuttings from Glenn Dale, and maintenance of the woods. For now, Arboretum staff have approved continued access to the Glenn Dale Station in the manner that has been used over the years. Even though they are short-staffed, we hope personnel at Glenn Dale can provide some minimum maintenance of the azalea woods pathways and plots, and perhaps assist in propagation of original Glenn Dales. At the least, we trust permission will be given to take cuttings for the Ten Oaks Glenn Dale Project activity.

A much more difficult quest to answer is what is to be done about the identification, preservation and propagation of the unique collection of Glenn Dale parent plants and the other azaleas in the woods. Some of this material may not be represented at the National Arboretum, or anywhere else in the United States for that matter. Unfortunately, doing nothing continues to subject the azaleas to damage and destruction because of canopy loss and weed competition. They have survived with minimum attention so far, but we fear the rate of loss may increase as the plants are more stressed than they were originally.

Conclusion
We look forward to continuing azalea research and development at the Glenn Dale Station, and to working with Arboretum staff in seeing what can be done to preserve and maintain this important and unique historic site. We are hopeful that some mechanisms of assistance can be identified to at least deal with the more immediate and pressing problems.

Acknowledgment
We wish to acknowledge the long-time cooperation and encouragement of NGRL Glenn Dale staff members Drs. Bruce Parliman and Howard Waterworth, and Ms. Deborah Leighton.

References
Dietz IV, A. A. and Miller III, W. C. 1983. The Glenn Dale Preservation Program of the Azalea Society of America at the USDA Plant Introduction Station in Glenn Dale, Maryland. The Azalean 5(3): 52-54.
Evans, C. H. and Miller III, W. C. 1985. Pattern of Sporting. The Azalean 7(1): 1-2.
Miller III, W. C. 1984a. The Belgian-Glenn Dale Hybrids. The Azalean 6(2): 33-35.
Miller III, W. C. 1984b. The Evergreen Azalea Cultivar 'Ben Morrison'. J. American Rhododendron Society 38(4): 178-179.
Miller III, W. C. 1985. HEA No. 34, Contributor to Glenn Dales. The Azalean 7(3): 59.
Miller III, W. C. 1988. More on the Evergreen Azalea 'Ben Morrison'. J. American Rhododendron Society 42(3): 159-161.
Miller III, W. C. and West, R. T. 1993. The Bell Book: A Companion to Monograph 20 . Bethesda, MD: The Azalea Works.
Miller III, W. C. and West, R. T. 1995. The Glenn Dale Azaleas and the U.S. National Arboretum; status of research and preservation activities. An unpublished report to Barbara L. Bullock, Curator of Azaleas; Elizabeth L. Ley, Acting Gardens Unit Leader; and Dr. Thomas S. Elias, Director, U.S. National Arboretum. Columbia, MD: 12 pp.
Morrison, B. Y. 1953. The Glenn Dale Azaleas. Agriculture Monograph 20 . U. S. Department of Agriculture, Washington, DC.
Rothe, E. 1989. The Glenn Dale Collection of Ghent Azaleas, Part 1. The Azalean 11(1): 6-7.
Rothe, E. and Miller III, W. C. 1988. The Most Unusual Striped Flower. The Azalean 10(1): 5-8.
Waterworth, H. 1993. Processing foreign plant germplasm at the National Plant Germplasm Quarantine Center. Plant Diseases 77(9): 854-860.
West, R. T. 1989. Distribution of the Glenn Dale Azaleas and the Ten Oaks Nursery. The Azalean 11(4): 69-73.
West, R. T. and Miller III, W. C. 1991. Correction of the Official Description of 'Furbelow'. The Azalean 13(4): 74-75.
West, R. T. 1993. Correction of Parentage for Some Glenn Dale Azaleas. The Azalean 15(3): 54-56.
West, R. T. and Miller III, W. C. 1993a. Ten Oaks Glenn Dale Project. The Azalean 15(1): 16.
West, R. T. and Miller III, W. C. 1993b. The Ten Oaks Glenn Dale Project Begins. The Azalean 15(3): 56-57.

Richard T. West is a long-time member of the Azalea Society of America and frequently writes articles for The Azalean. He is especially interested in the Glenn Dale azaleas. He is a cosponsor of the Ten Oaks Glenn Dale Project. Original photographs were by R.T. West; plant photos here are by William C. Miller III.

William C. Miller III
William C. Miller III is a former Vice President of the Azalea Society, cochairman of the Membership Committee and chairman of the Public Information Committee, and is a recipient of the Society's Distinguished Service Award. He is a member of the Brookside Gardens Chapter and has served as chairman of Horticulture for the chapter's annual flower show for many years. He is a frequent contributor to The Azalean. He is a co-sponsor of the Ten Oaks Glenn Dale Project.